
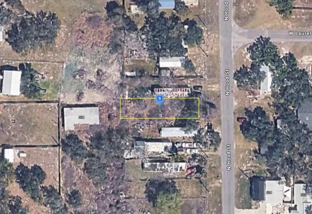
Situated in the heart of Rockport, this 4,000 sq ft vacant lot offers a prime central location with public utilities available. The surrounding area includes mobile homes and RVs, providing a flexible setting. Enjoy being just minutes from downtown shops, local dining, the colorful art district, and nearby special event venues, making this a convenient and well-connected property in one of Rockport’s most desirable areas. Listing is for land only and comes As Is.
© 2023 North Texas Real Estate Information Systems, Inc. All rights reserved. Disclaimer: All information deemed reliable but not guaranteed and should be independently verified. All properties are subject to prior sale, change or withdrawal. Neither listing broker(s) nor McCOWN Real Estate shall be responsible for any typographical errors, misinformation, or misprints and shall be held totally harmless. The database information herein is provided from and copyrighted by the North Texas Real Estate Information Systems, Inc. NTREIS data may not be reproduced or redistributed and is only for people viewing this site. All information provided is deemed reliable but is not guaranteed and should be independently verified. The advertisements herein are merely indications to bid and are not offers to sell which may be accepted. All properties are subject to prior sale or withdrawal. All rights are reserved by copyright
Last Updated: . Source: NTREIS
Provided By
Listing Agent: Joel Hinckley (#0727817)
Listing Office: PlatLabs, LLC (#PLAB00FW)

Get an estimate on monthly payments on this property.
Note: The results shown are estimates only and do not include all factors. Speak with a licensed agent or loan provider for exact details. This tool is sourced from CloseHack.