
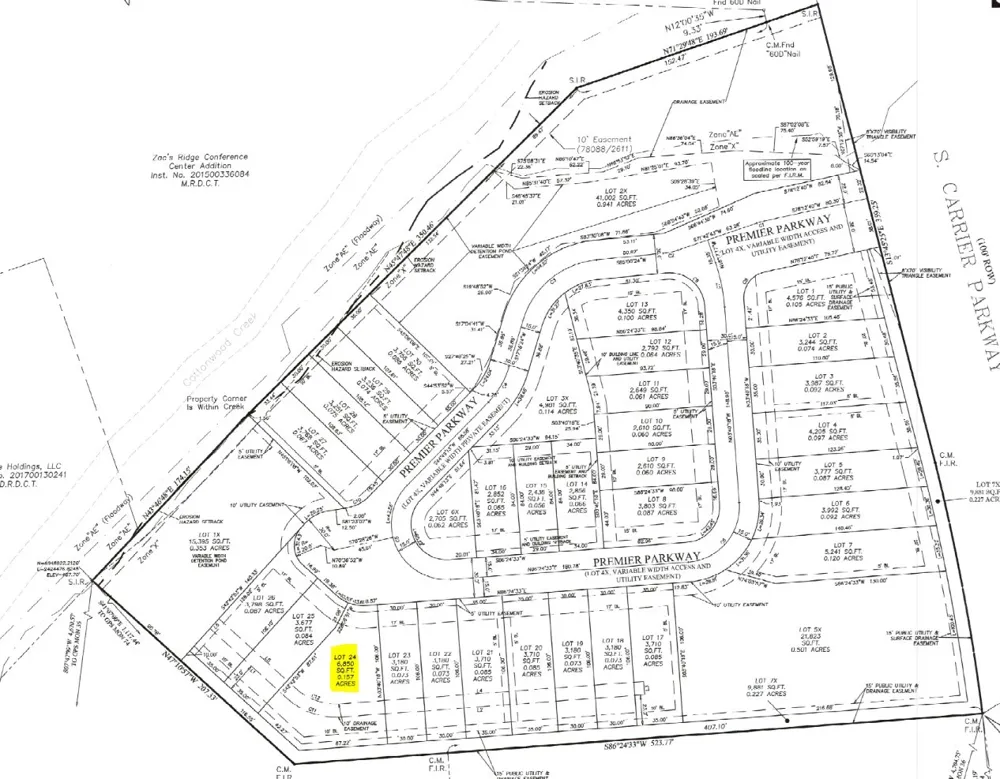
*Total of 4 lots, must be sold all together. price listed is per lot. 832-838 Premier Parkway* Bring your own builder & your own special ideas! Don’t miss this opportunity to build your dream townhome or investment property in the heart of Grand Prairie. Located at 838 Premier Parkway, this 6,850 sq ft open lot offers a clean slate in a well-established and growing area. With water and electricity already available on-site, you’re one step closer to bringing your vision to life. Located in a prime location just minutes from major highways, shopping, dining, and entertainment, this lot provides the perfect balance of convenience and comfort. Whether you're a builder, investor, or future homeowner, this is a fantastic opportunity to secure a great piece of land in a thriving community.
© 2023 North Texas Real Estate Information Systems, Inc. All rights reserved. Disclaimer: All information deemed reliable but not guaranteed and should be independently verified. All properties are subject to prior sale, change or withdrawal. Neither listing broker(s) nor McCOWN Real Estate shall be responsible for any typographical errors, misinformation, or misprints and shall be held totally harmless. The database information herein is provided from and copyrighted by the North Texas Real Estate Information Systems, Inc. NTREIS data may not be reproduced or redistributed and is only for people viewing this site. All information provided is deemed reliable but is not guaranteed and should be independently verified. The advertisements herein are merely indications to bid and are not offers to sell which may be accepted. All properties are subject to prior sale or withdrawal. All rights are reserved by copyright
Last Updated: . Source: NTREIS
Provided By
Listing Agent: Shaheer Hashmi (#0783545), Phone: (254) 371-3883
Listing Office: DHS Realty (#DHS01C)

Get an estimate on monthly payments on this property.
Note: The results shown are estimates only and do not include all factors. Speak with a licensed agent or loan provider for exact details. This tool is sourced from CloseHack.